Huragan Kirk uderzy w Polskę. Skutki mogą być katastrofalne – zacznie się już za chwilę
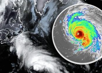
Huragan Kirk, który obecnie znajduje się nad Oceanem Atlantyckim, zbliża się do Europy, a jego skutki będą odczuwalne również w ...
Huragan Kirk, który obecnie znajduje się nad Oceanem Atlantyckim, zbliża się do Europy, a jego skutki będą odczuwalne również w ...
© 2020 AllPress.pl